Resumen
Presentamos el caso de un lactante menor de dos meses de edad con antecedente de haber sido recién nacido pretérmino. Cursó con Enfermedad de Membrana Hialina y requirió ventilación mecánica durante seis días. A los 30 días de vida presentó cuadro de rinofaringitis viral, cianosis perioral con apnea y dificultad respiratoria. La radiografía de tórax mostró múltiples imágenes hiperlúcidas bilaterales de predominio derecho.
Posteriormente presentó fiebre intermitente de larga evolución, inicialmente ella recibió tratamiento para bronconeumonía cavitada y secuelas de ventilación mecánica por lo que recibió múltiples esquemas antimicrobianos.
La madre cursó con fiebre intermitente desde el sexto mes de embarazo y fue hospitalizada por sospecha de endometritis treinta días después del parto. Presentó deterioro clínico, que evolucionó a sepsis y falleció en la Unidad de Cuidado Intensivo.
En la histopatología endometrial se encontraron granulomas sugestivos de tuberculosis. Teniendo en cuenta la fiebre de larga evolución en la niña y antecedente de tuberculosis genital en la madre se realizó estudio de TBC el cual resultó positivo. (Lea también: Tumor carcinoide bronquial)
Palabras Clave: : Tuberculosis congenital, tuberculosis en el neonato
Milena David Calabria*; Paulina Ojeda León**
* Neumóloga Pediatra. Hospital Santa Clara.
Profesora asistente. Universidad El Bosque.
** Patóloga. Hospital Santa Clara.
Profesora asociada. Universidad El Bosque.
Abstract
We are presenting the case of less than to 2 month old and premature infant. She had Hyaline Membrane Disease and required mechanical ventilation during 6 days. At the first month, she presented a viral rhinopharyngitis symptomatology, perioral cyanosis with apnea, and respiratory distress.
The chest X-ray showed multiple bilateral hyperlucid images, mainly at the right side. Afterwards, the patient presented intermittent fever of long evolution, and initially received treatment for cavitary bronchopneumonia and sequel of mechanical ventilation, receiving multiple antimicrobial antibiotics.
The mother had intermittent fevers since the sixth month of pregnancy and was hospitalized for suspected endometritis after delivery. She presented clinical impairment which evolved to sepsis and died in the ICU. The endometrial histopathology showed granulomas suggesting tuberculosis. Due to long history of fevers in the baby and the genital tuberculosis in the mother, a tuberculosis study was performed in the girl, which resulted positive.
Palabras Clave: Congenital tuberculosis, tuberculosis in neonates.
Presentación del caso de tuberculosis congénita
Lactante menor de dos meses de edad, procedente del Cauca. Madre de origen indígena colaboraba en programas de salud en el Cauca con población indígena con alta incidencia de tuberculosis. Padre aparentemente sano, VIH negativo.
Producto de primer embarazo de madre de 22 años, quien cursa con infección de vías urinarias, recibiendo tratamiento con mejoría.
Posteriormente cursa con fiebre intermitente de larga evolución, por considerar alto riesgo de proceso infeccioso, aparentemente no identificado se decide llevar a cesárea a las 36 semanas de gestación obteniéndose producto femenino con peso de 2070 grs. talla 48cms. sin signos de asfixia neonatal.
Presenta Enfermedad de Membrana Hialina, que requiere unidad de cuidado intensivo y ventilación mecánica durante seis días, con posterior evolución hacia la mejoría, egresándose a los 12 días de nacida. Cursa con ictericia fisiológica sin complicaciones. Alimentada al seno materno durante siete días. Esquema de vacunación nulo.
A los 30 días de vida inicia síntomas respiratorios caracterizados por tos y rinorrea hialina por lo que consulta al hospital de su lugar de origen, realizan diagnóstico de rinofaringitis viral con tratamiento sintomático; por persistencia de sintomatología y agregándose fiebre no cuantificada, cianosis perioral y evento de apnea más dificultad respiratoria consulta nuevamente al Hospital en donde encuentran al examen físico signos de dificultad respiratoria moderada, con gran disminución de los ruidos respiratorios en forma generalizada.
Toma de RX
Tórax con infiltrados alveolares bilaterales compatible con bronconeumonía y se inicia tratamiento con ampicilina y amikacina durante siete días, pero por persistencia de la fiebre cuantificada hasta 38.5 intermitente y por evolución tórpida y deterioro respiratorio es remitida a Unidad de Cuidado Intensivo neonatal en Bogotá sospechándose sepsis de origen pulmonar.
Se encuentra paciente con peso bajo para la talla, con signos de dificultad respiratoria de leve a moderada, febril, se inicia tratamiento con oxacilina y ceftriaxona con mejoría parcial, pero insidiosa por continuar con picos febriles a pesar de varios esquemas antimicrobianos de amplio espectro.
La RX de Tórax al ingreso mostró imágenes hiperlúcidas bilaterales de predominio derecho con opacidad basal derecha con componente atelectásico (Figura 1). Se considera neumonía necrotizante, y se realiza estudio de VIH siendo negativo, citomegalovirus, toxoplasma, sífilis negativo. Tres hemocultivos negativos, urocultivo negativo, LCR citoquímico normal con cultivo negativo.
La paciente persiste con evolución tórpida, reinicia con signos de dificultad respiratoria severa con altos requerimientos de oxígeno por lo que requiere nuevamente ventilación asistida, progresando a sepsis y CID, trastorno hidroelectrolítico con buena respuesta al tratamiento integral.
TAC de tórax
Se realiza TAC de tórax que reporta imágenes quísticas de paredes delgadas en lóbulo inferior derecho, atelectasia en lóbulo medio y língula (Figura 2). Se obtiene mejoría de cuadro de sepsis con estabilidad desde el punto de vista respiratorio, y es trasladada a piso para continuar su tratamiento.
La paciente persiste con dependencia de oxígeno a un litro por minuto. Se toma ecocardiograma que reporta signos de hipertensión pulmonar leve sin defectos estructurales cardíacos.

| Figura 3. Biopsia de endometrio que muestra infiltrado linfocitario con presencia de granuloma no necrotizante constituido por células epiteloides, con células multinucleadas. | Figura 2. TAC de tórax en imágenes quísticas de paredes delgadas en lóbulo inferior derecho, atelectasia en lóbulo medio y ligula. |
A los 60 días de vida se recibe informe de familiares, que la madre es hospitalizada por probable endometritis, progresando a sepsis y fallece en UCI en hospital de tercer nivel en su lugar de origen.
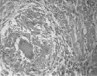
Biopsia de endometrio
En la biopsia de endometrio se reporta endometritis séptica aguda sobre un proceso previo de endometritis granulomatosa con caseonecrosis muy sugestiva de tuberculosis genital, biopsia que posteriormente fue revisada en nuestra institución con ZN positivo (Figura 3 y 4).

| Figura 3. Biopsia de endometrio que muestra infiltrado linfocitario con presencia de granuloma no necrotizante constituido por células epiteloides, con células multinucleadas. | Figura 4. Biopsia de endometrio que muestra un bacilo ácido alcohol resistente. ZN 100x. Tipo langhans. HE 10x |
Teniendo en cuenta este importante antecedente y cuadro clínico en la niña con fiebre de larga evolución y lesiones radiológicas persistentes se decide iniciar estudio de TBC, encontrándose dos determinaciones de BK en jugo gástrico positivas, con cultivo posterior positivo.
No se realizó PPD. Se inició tratamiento antituberculoso con Isoniacida 10 mg./kg./día, Rifampicina 10 mg./kg/día y Pirazinamida 20 mg./kg./día, con mejoría notoria, desapareciendo la fiebre a los seis días de tratamiento.
Los signos de dificultad respiratoria disminuyeron en forma paulatina aunque con disminución lenta del requerimiento de oxígeno con el cual estuvo dependiente hasta los seis meses de edad. Se logró negativización de BK a los 30 días de haberse iniciado el tratamiento antituberculoso y no se presentaron complicaciones secundarias que fue monitorizado con pruebas de función hepática.
Se observó mejoría en percentiles de peso y talla, así como en el desarrollo psicomotor; la paciente es controlada actualmente a través de la consulta externa encontrándose en buenas condiciones.
Discusión
El diagnóstico de tuberculosis congénita requiere un alto índice de sospecha, ya que los síntomas no son específicos. La apnea, dificultad respiratoria, hepatoesplenomegalia y fiebre pueden estar presentes en múltiples entidades en el neonato como sepsis, infecciones congénitas (TORCH) , o VIH (1, 2).
Se considera una enfermedad rara ya que existen pocos reportes en la literatura, sin embargo, teniendo en cuenta la emergencia de la tuberculosis secundario a la pandemia del VIH, debería tenerse más en cuenta en el diagnóstico de enfermedad respiratoria que no mejora al tratamiento médico, en general los síntomas se presentan entre la segunda y cuarta semana de vida y puede imitar cualquiera de las enfermedades neonatales ya mencionadas.
El diagnóstico en nuestra paciente se realizó en forma tardía, ya que inicialmente se pensó en una bronconeumonía cavitada, síndrome de TORCH y /o secuelas de anoxia perinatal (enfermedad de membrana hialina y ventilación mecánica).
Síntomas inespecíficos
Otros síntomas inespecíficos incluyen hiporexia, irritabilidad, poca ganancia de peso, linfadenopatía y distensión abdominal (1, 3).
El pronóstico de la tuberculosis congénita depende del temprano reconocimiento y tratamiento ya que pueden presentarse complicaciones serias en el neonato o lactante menor como tuberculosis miliar y meningitis, esta última afortunadamente muy poco frecuente en la etapa neonatal.
Existe una alta mortalidad, reportada en la literatura hasta de un 50%. Por otro lado se corre el riesgo de exposición de otros neonatos en la unidad de recién nacidos (4,5,6).
La tuberculosis congénita puede ser adquirida por dos vías: diseminación hematógena de mycobacterium tuberculosis por ruptura de algún tubérculo de la placenta a la circulación fetal, lo cual origina un complejo primario hepático o pulmonar.
O por aspiración o deglución de líquido amniótico o sangre materna infectada, ambos en útero o durante el paso a través del canal del parto, lo cual resulta en enfermedad tuberculosa primaria en pulmón o gastrointestinal (4,5).
Criterios para el diagnóstico
Los criterios para el diagnóstico fueron descritos inicialmente por Beitzki en 1935, pero requerían de biopsia hepática para demostrar la presencia de granulomas, por lo que fueron modificados posteriormente en 1952 por Corner y comprenden:
1. Aislamiento del bacilo de la tuberculosis en el niño.
2. Presencia de complejo primario o en ausencia de complejo primario:
a. Cambios tuberculosos en un feto o niño en los primeros días de vida.
b. Exclusión de exposición extrauterina (4,5).
Pueden ser necesarios la búsqueda del bacilo en muchos sitios para el diagnóstico microbiológico. El lavado gástrico es un estudio sencillo, rápido y económico. A la paciente se le realizaron dos series de aspirado gástrico en dos instituciones diferentes, siendo positivas una de las muestras en cada laboratorio. Uno de los cultivos de estos aspirados fue positivo.
PPD en el recién nacido
La interpretación del PPD en el recién nacido es difícil a causa de su inmadurez inmunológica, no se realizó en la paciente por la escasez de la prueba en nuestro país en ese tiempo.
La radiografía de tórax puede mostrar diferentes patrones, adenomegalias, atelectasias, infiltrados parenquimatosos persistentes y muy rara vez pueden cavitar como fue en el caso de este paciente (7,8).
No hay guías en el manejo y duración de tratamiento de la TBC congénita, ya que es una enfermedad poco sospechada y casi siempre el diagnóstico se realiza postmorten.
En las series revisadas en la literatura se ha usado el tratamiento convencional estándar con isonianicida y rifampicina durante seis meses, adicionando pirazinamida en los dos primeros meses con buenos resultados, como también se corroboró en este caso.
Casos de tuberculosis con amenaza a la vida
Para casos de TBC con amenaza a la vida debe adicionarse una cuarta droga como estreptomicina o etambutol (1,2,9).
Finalmente este caso nos enseña que hoy en día con la resurgencia de la TBC, la frecuencia particularmente en el neonato puede ser mayor de lo que actualmente se considera.
Sugerimos que el estudio de TBC en la madre sea considerado dentro del tamizaje de laboratorios del control prenatal.
Debe sospecharse en pacientes con enfermedad respiratoria y o sepsis que no responde al tratamiento médico sobre todo en pacientes con VIH o ante la presencia de hepatoesplenomegalia que no se ha explicado por otras causas, como citomegalovirus, rubéola o toxoplasmosis (4,5).
Las lesiones persistentes en la radiografía de tórax deben hacer sospecha de la enfermedad, particularmente en el caso de las atelectasias.
El tratamiento estándar triconjugado ha demostrado ser efectivo en la tuberculosis congénita con rápida remisión de los síntomas, sin embargo, las secuelas pueden ser muy importantes, como la dependencia de oxígeno que fue prolongada en nuestro paciente, y la hipertensión pulmonar que resolvió posteriormente (1, 2, 9).
Bibliografía
1. Abughali N, Van Der Kuyp F., William A., et al: Congenital tuberculosis. Pediatr Infect Dis J. 1994; 13: 738-41.
2. Adhikari M., Thillagavathie P., and Devadas G. Tuberculosis in the newborn: an emerging disease. Pediatr Infect Dis J. 1997;16: 1108-12.
3. Myers J, Perlstein P. Light I, et al. Tuberculosis in Pregnancy with Fatal Congenital Infection. Pediatrics. 1981; 67: 89-94.
4. Mazade M, Evans E, Starke J, et al. Congenital tuberculosis presenting as sepsis sndrome: case report and review of the literatura. Pediatr Infect Dis J. 2001; 20:439-42.
5. Chen A and Shih S. Congenital Tuberculosis in Two Infants. AJR. 2004; 182:253-56.
6. Brent W. Narvarte H., Holt D., et al. Congenital Tuberculosis And Management Of Exposures In A Neonatal In A Neonatal Intensive Care Unit. 2002; 23: 573-79.
7. Vallejo J, and Starke J, Tuberculosis and Pregnancy. Clinics in Chest Medicine. 1992;13: 693-706.
8. Lee L, le Vea C, and Graman P. Congenital Tuberculosis in a Neonatal Intensive Care Unit: Case Report, Epidemiological Investigation, and Management of exposures. CID. 1998; 27: 474-77.
9. Hageman J., Shulman S., Schreiber M., et al. Congenital tuberculosis: Critical Reappraisal of Clinical Findings and Diagnostic procedures. Pediatrics. 1980; 66: 981-83.





