Anatomía e histología. Al igual que el ovario, la gonada masculina desempeña dos papeles, uno reproductor (espermatogénesis) y otro hormonal (producción de testosterona). Los testículos (Figura 1) están fuera de la cavidad abdominal dentro del escroto. Son ovoides y cada uno mide aproximadamente siete por trece centímetros, cuyas estructuras son:
► túnica vaginalis, capa de tejido conectivo duro cuya función es servir de soporte del parénquima testicular.
► túnica albugínea, cápsula de tejido conectivo que también provee soporte al parenquima.
► parénquima testicular, compuesto de túbulos seminíferos y células intersticiales
► túbulos seminíferos, que producen los espermatozoides
► células intersticiales, esparcidas entre los túbulos seminíferos
► mediastino testicular, núcleo de tejido conectivo dentro del testículo.
► red testicular -de túbulos colectores – recogen los espermatozoides luego de que pasan por los túbulos seminíferos.
► vasos eferentes, aproximadamente quince túbulos que cargan los espermatozoides del testículo al epidídimo.
► túnica dartos, estructura tipo lámina hecha de músculo liso y tejido conectivo elástico, cuya función es servir de termo-regulador del testículo.
► escroto, capa de piel gruesa velluda protectora del testículo.
Figura 1. Corte transversal del testículo.
Adicionalmente hay varias glándulas sexuales accesorias como las vesículas seminales – glándulas secretoras en pares localizadas dorsalmente a la vejiga- la próstata – con dos lóbulos posteriores que se pueden palpar por vía rectal y uno medio, uretral- segrega un líquido grasoso que lubrica la uretra y contribuye a una pequeña porción del semen, glándulas bulbo-uretrales y uretrales.
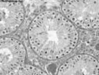
Histológicamente se observan varias estructuras en el testículo del adulto. En su parenquima se observan los túbulos seminíferos (figura 2) en una red de conductos conectados con el epidídimo y que en total suman cinco o seis metros. Comenzando en la cola del epidídimo se ve una estructura tubular de 30 centímetros llamada canal deferente, que termina en el conducto eyaculatorio, cerca de la próstata. El semen se va madurando durante los doce días de tránsito a través del epidídimo y los espermatozoides –allí depositados hasta el momento de la eyaculación- adquieren motilidad sostenida.
– Túbulos seminíferos. Allí se encuentran células reproductoras en diferentes etapas de maduración; Dichas células tubulares están rodeadas de una membrana basal. La espermatogénesis está regulada por la FSH/LH en presencia de testosterona y por el sincitio de Sertoli.
– Sincitio de Sertoli. Diseminadas entre las células germinales, se ven unas células multi-nucleadas muy ricas en glicógeno, que se encargan de la nutrición de las espermatogonias.
– Células intersticiales de Leydig. Ricas en citoplasma y con núcleo prominente, también están esparcidas en el espacio inter-tubular; se encargan de la producción de andrógenos. Su función está regulada por la hormona estimulante de las células intersticiales o ICSH, que es la misma LH.
Para la función reproductora normal se necesita que estos tres tipos de células se encuentren muy próximas.
El epitelio germinal está dispuesto dentro de túbulos seminíferos en varias hileras –clasificadas de I a VI- de acuerdo a los estados de maduración. Cada paso de una célula por estas seis etapas se llama ciclo, pero para que la espermatogénesis de cómo resultado un espermatozoide maduro se necesita que la célula haya pasado por cuatro ciclos, con una duración aproximada de setenta y cinco días. La espermatogénesis comienza con las espermatogonias A y B, que luego pasan por diversas variedades de esperamatocitos, espermátides y finalmente el espermatozoide maduro, célula haploide que lleva la mitad de la carga cromosómica, veintidós autosomas y un cromosoma sexual de tipo X o Y, que determinará el sexo de los futuros hijos. La morfología del espermatozide maduro está constituida por la cabeza (núcleo y gorra acrosómica), parte media (mitocondrias) y cola. El espermatozoide pasa por un proceso final de maduración –capacitación- una vez liberado en el aparato reproductor femenino, llevándose a cabo la fertilización generalmente en el tercio externo de la trompa de Falopio. La formación de los túbulos como se ven en el adulto se logra entre los nueve y diciesiseis años, durante la pubertad.
Figura 2. Histología del testículo
Andrógenos. Las células intersticiales de Leydig producen andrógenos y una pequeña cantidad de estriol. El más importante es la testosterona (Figura 3) un esteroide de 10 carbonos, hidroxilado en el carbono 17. La suprarrenal, la próstata y el hígado también pueden producir ínfimas cantidades de testosterona. Las células intersticiales también producen la delta-4-androstenediona y la dehidroepiandrosterona, pero la principal fuente de esta última es la corteza suprarrenal.
La testosterona sufre una variación diurna, con niveles algo más alto en la mañana. Es transportada por proteínas vectoras con una unión rápidamente reversible (albúmina y globulina fijadora de testosterona); sufre metabolismo hepático rápido dando lugar a androsterona, epiandrosterona y etiocolanolona, que conforman el 30% de los 17-cetosteroides urinarios (el 70% corresponden a la DHEA-S suprarrenal). Precursores de la testosterona son la delta-5-pregnenolona, la dehidroepiandrosterona, progesterona y androstenediona. Los andrógenos –incluída la testosterona- pueden aromatizarse a estrógenos. Lo que no se metaboliza de la testosterona se liga al ácido glucurónico que la vuelve soluble y puede eliminarse por la orina. Los andrógenos regulan la liberación de GnRH y a través de ella, la LH y FSH, durante la diferenciación sexual –desarrollo del conducto de Wolff- forman el fenotipo masculino y promueven la maduración sexual durante la pubertad. Por acción de la 5-alfa-reductasa, la testosterona de transforma en 5-dihidro-testosterona en células blanco como en la próstata y folículo piloso. Los andrógenos interactúan con receptores nucleares que se encuentran en tejidos andrógeno-dependientes como los órganos sexuales accesorios, y menor concentración, en músculo, hígado y corazón. Pocas semanas antes del nacimiento se produce la migración de los testículos –localizados en el abdomen- al saco escrotal, pues los espermatozoides requieren una temperatura inferior en 4oC a la del cuerpo para poder desarrollarse. Los niveles de testosterona suben en el primer semestre de vida a la mitad de los de un adulto, luego descienden hacia el año y permanecen bajos hasta la pubertad. Permanecen constantes durante la adultez y descienden un 30% en la vejez (después de los setenta años). El proceso puberal masculino (Tabla 1) se inicia hacia los siete años con la producción suprarrenal de andrógenos –adrenarquia- y algunos años más tarde se empiezan a presentar pulsos de GnRH y de LH, y la esteroidogénesis androgénica se activa, con efectos sobre los órganos sexuales primarios y los accesorios, y con la presentación progresiva de los caracteres sexuales secundarios que se pueden describir de acuerdo a la clasificación de Tanner.
Tabla 1. Efectos de la testosterona
• Genitales externos: aumento de tamaño del pene y escroto, con pigmentación y aparición de pliegues rugosos en este último.
• Crecimiento del cabello: aparece la barba y el bigote, el vello púbico toma la forma característica de diamante y aparecen los vellos axilar, del tronco, extremidades y anal.
• Crecimiento linear: aumento del crecimiento durante la pubertad, que pasa de dos a tres pulgadas por año.
• Órgano sexuales accesorios: la próstata se hace palpable, las vesículas seminales crecen y comienzan su actividad secretora.
• Voz: esta se hace gruesa, debido al crecimiento laríngeo y engrosamiento de las cuerdas vocales.
• Psiquis. Se producen actitudes más agresivas y se desarrollan la líbido y la potencia sexual.
Una vez que las características sexuales secundarias se han desarrollado a cabalidad, se requiere una pequeña cantidad de andrógenos para su mantenimiento, por ejemplo los producidos por la corteza suprarrenal. Se necesitaría diez a veinte años después de una castración para que se observara algún efecto sobre los caracteres sexuales secundarios. Los niveles de testosterona disminuyen con la edad. La testosterona es también una potente hormona anabólica, con efecto anti-osteoporótico y produce aumento de la masa muscular.
Andrógenos y crecimiento del vello. Cada folículo piloso (Figura 4) se desarrolla entre las ocho y las diez semanas de gestación como un que prolifera desde la capa basal de la epidermis e invade la dermis. Esta columna epitelial se elonga y envuelve un grupo de células mesodérmicas en su extremo del bulbo, formando la papila dérmica. Luego esta columna sólida hace un hueco formando el aparato pilo-sebáceo. Las glándulas sebáceas y los folículos pilosos sexuales constituyen una unidad funcional, la unidad pilo-sebácea. El crecimiento del vello está marcado por la proliferación de las células epiteliales en la base de la columna que están en contacto con la papila dérmica. El lanugo que cubre al feto está ligeramente pigmentado, su diámetro es delgado, de escasa longitud y alta fragilidad. Es importante recalcar que los folículos pilosos están ya formados en una etapa temprana del desarrollo, hacia las 22 semanas; de ahí en adelante no se producirán nuevos folículos. Aunque no hay diferencia en el número de folículos por unidad de área en la piel de la cara entre los sexos, sí existen diferencias entre las razas. El patrón de crecimiento del pelo está predeterminado genéticamente. El crecimiento del pelo no se hace en forma continua sino cíclica, con fases alternativas de actividad e inactividad. Estas fases son:
Figura 4. Folículo piloso
1. Anágena o de crecimiento
2. Catágena o de involución rápida
3. Telógena o de reposo
El vello sexual es aquel que responde a los esteroides sexuales. Crece hacia la línea media del cuerpo en la cara, el abdomen inferior, la cara anterior de los muslos, el tronco, los senos, el área púbica y las axilas. Las hormonas pueden actuar sobre la iniciación de la fase anágena, adelantándola o retrasándola varias semanas. La piel y los folículos pilosos tienen receptores específicos para andrógenos y estrógenos. La unidad pilo-sebácea posee la capacidad enzimática de convertir la dehidroepiandrosterona, la androstendiona y la testosterona en dihidrotestosterona y de transformar la androstendiona en estrona. La actividad de la unidad pilo-sebácea refleja el equilibrio de las acciones androgénicas y estrogénicas y puede diferenciarse hacia folículos pilosos terminales o en folículos sebáceos en los cuales predomina el componente sebáceo y la textura del pelo continúa siendo fina.
Una vez que los andrógenos han actuado sobre los folículos, hace que los vellos se vuelvan más largos y pigmentados. Estas características finales recurren en ciclos típicos de actividad e inactividad, incluso en ausencia de los andrógenos que las sostengan. Los andrógenos, especialmente la testosterona, inician el crecimiento; incrementan el diámetro y la pigmentación de la columna de queratina, probablemente aumentan la tasa de mitosis en la matriz celular en todos los folículos, excepto en el cuero cabelludo. Los estrógenos actúan en forma opuesta a los andrógenos, retardando la tasa de crecimiento, produciendo vello más delgado y menos pigmentado. Los progestágenos tienen efecto mínimo sobre el folículo piloso. El embarazo puede aumentar la sincronía del crecimiento del vello, llevando a la caída. El vello se ha dividido de acuerdo a su respuesta a las hormonas en andrógeno-dependiente e independiente.
Referencias.
Heinlein CA, Chang C. The Roles of Androgen Receptors and Androgen-Binding Proteins in Nongenomic Androgen Actions Molecular Endocrinology 2002; : 2181-2187
Deplewski D, Rosenfield RL. Role of Hormones in Pilosebaceous Unit Development. Endocrine Reviews 2000; 21 (4): 363-392







